藏书网
梦幻之翼翱翔的文章
李白一直没怎么做官,却花钱如流水,那李白的钱是怎么来的?! “
历史
2025-09-29 10:40
阳谋再出,进退自如?! 我们打出的这招老美不管接或不接,其实老美
军事
2025-09-29 09:08
小超市不愿意一次性卖几条烟,更愿意一包一包地卖?! 只要关系和钱
社会
2025-09-28 22:11
为什么雍正这么勤勉却得不到他儿子乾隆的认同?! 乾隆对他老爹那一
历史
2025-09-28 20:30
听起来很解气,可现实却是越是底层管理,越认定不把员工当人看才是最有效的管理的,值
职场
2025-09-28 17:08
为什么武则天那么狠,唐朝还认同她的皇帝身份?! 武则天在位期间唐朝
历史
2025-09-28 15:27
最可悲的是人生每个阶段都要挤地铁,幸运的是生活的地方还有地铁挤!
情感
2025-09-28 13:46
关键李达康和欧阳菁的扮演者吴刚和岳秀清现实中真的是夫妻,有没有可能现实生活中两人
娱乐
2025-09-28 12:13
汉宣帝知名度可能不是很高,比起文景武帝,但是能力确实很强,也很能隐忍!
历史
2025-09-28 10:31
说一个同事的故事,同事姓刘,他小时候和爷爷去看他们宗族里的老人,听老人们聊天,知
历史
2025-09-28 08:57
榴莲是欲望,西瓜才是生活。西瓜某种意义上与开水一样标签都是必须品,而榴莲不是。再
情感
2025-09-27 07:47
天启作为帝王绝对合格甚至优越,太子时接受过帝王教育自身也有天赋。15岁懂得以阉党
历史
2025-09-26 22:05
一级建造师考场惊现"空座潮",缺考率飙升背后的行业寒冬,工程人还在做最后的坚守吗
教育
2025-09-26 20:08
为何渭水之盟让李世民认为是奇耻大辱?! 玄武门之变后,唯一支撑
历史
2025-09-26 18:09
张居正流芳百世,万历皇帝遗臭万年,明史专家无不承认明实亡于万历。可惜了崇祯皇帝励
历史
2025-09-26 16:08
上下兼容,左右兼顾,风雨兼程,何去何从,唯有靠自己! 每一代都会
情感
2025-09-26 14:09
马嘶巷,位于衡阳市中山南路东侧,因清朝时期吴三桂在此饲养战马而得名。 我小时候常
历史
2025-09-24 22:46
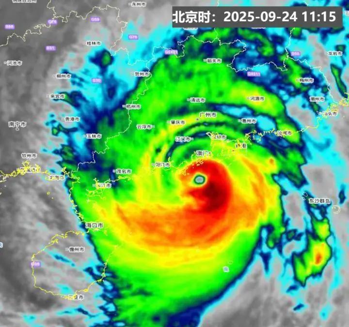
我身处湖南衡阳,但心里却时时在关注今年最强台风“桦加沙”在广东的走向。 今年台风
社会
2025-09-24 18:26
脱水香葱我已用了好几年,自从它岀现,我就较少去菜市场买新鲜葱了。 这是不是现代人
2025-09-23 19:35
广东正严阵以待超级台风“桦加沙”的来临。 小区物业连发多条信息提醒业主注意防范台
社会
2025-09-23 11:01
第一页
下一页
梦幻之翼翱翔
梦幻之翼翱翔
热门分类
推荐
热榜
军事
NBA
体育
社会
明星八卦
娱乐
财经
科技
汽车
历史
国际
游戏
动漫
公益
搞笑
商业
互联网
数码
国际足球
房产
家居
时尚
科学探索
职场
育儿
股票
教育
影视
情感
热点
中国军情
武器
中国南海
中国足球
亚洲杯
科比
综合体育
CBA
投资
大咖秀
外汇
创业
风口
SUV
豪车
概念车
优惠
新能源
美国
欧洲
朝日韩
俄罗斯
孕期
街拍
婚姻
正能量